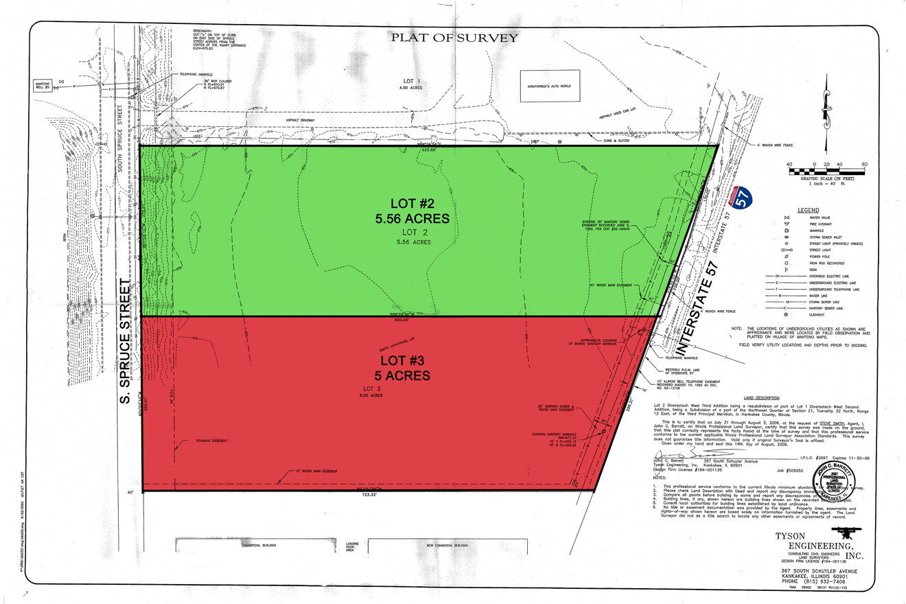
Total of 10.56ac or 459,994sf Lot #2 5.56 acres (242,194sf) Lot #3 5 acres (217,800sf) Village of Manteno, C-2 Zoning, City Water, Sewer, & Utilities to Site Under 1/2 mile to the I-57 & Division St Interchange Located Within the Kankakee County Enterprise Zone. Almost 600′ of I-57 Frontage Over 32,700 VPD I-57 LOT #2 (5.56AC) & LOT #3 (5AC) S. Spruce St Manteno, IL 60950 FULLY DEVELOPED COMMERCIAL LOTS Village of Manteno C-2 Zoning Water, Sewer, & Utilities to Site Under 1/2 mile to the I-57 & Division St Interchange Located Within the Kankakee County Enterprise Zone Almost 600′ of I-57 Frontage Over 32,700 VPD I-57



