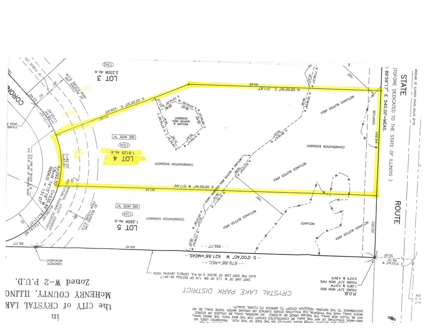
Beautiful wooded 1+ acre lot, Lot #4 of 5 lots to pick from build your dream home, annexed into the City of Crystal Lake. Adjacent to Crystal Lake Park District & Lippold Park. Entrance to property on Coronado Vista. Electric/Gas available. Septic & Well permitted by city of Crystal Lake, build your own.
1334 Coronado Vista Street Crystal Lake, IL 60014
Price Reduced
1334 Coronado Vista Street
Crystal Lake, IL 60014
Price: $52,900
Type:
Land
Lot Size (Acres): 1.81
Agent:
Valarie Werderitch
Agent Email: val@starckre.com
Broker:
Berkshire Hathaway HomeServices Starck Real Estate
Broker Phone: 815-459-5900
Broker Email: clientcare@starckre.com

