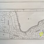
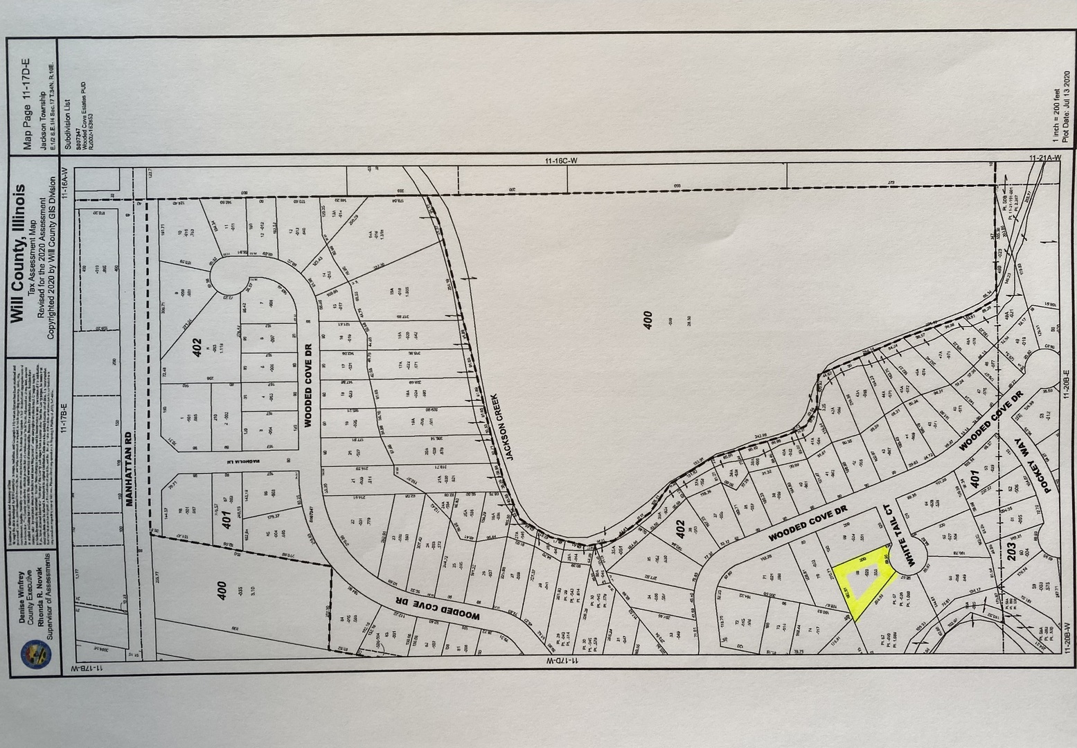
Build your dream home on one of the Largest Cul-de-sac Lots in WOODED COVE ESTATES! Very desirable and established neighborhood surrounded by mature trees. Enjoy the feel of country living at it’s finest. Lovely location offering more quiet and privacy located in this beautiful cul-de-sac. The 1/2 acre lot is placed slightly higher than others surrounding which is a plus. No Homeowners Association, City Public Water, Sewer, Fire Hydrants and Sidewalks!!. The location is a plus with walking trails close by and minutes from I-55 and Route 53 ** Lot adjacent to property which is the corner of White Tail and Wooded Cove is also available. Perfect for related living!! **
20147 White Tail Court Elwood, IL 60421
20147 White Tail Court
Elwood, IL 60421
Price: $64,900
Type:
Land
Lot Size (Acres): 0.56
Agent:
Michele Furlong
Agent Email: MFurlongHOMES@gmail.com
Broker:
Baird & Warner
Broker Phone: 708-460-1400
Broker Email: deborah.deboer@bairdwarner.com





