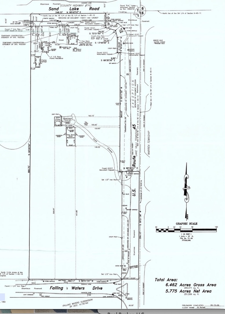
6.6 acres of vacant land located on the corner of Hwy 45 & Sand Lake Rd in Lindenhurst/Old Mill Creek. Walgreens and BP gas station are located directly across the street. Dollar Tree across the street move in fall 2021. Major road renovation 1/2 north of this property.
37430 Us Highway 45 Highway Lindenhurst, IL 60046
Price Reduced
37430 Us Highway 45 Highway
Lindenhurst, IL 60046
Price: $950,000
Type:
Farm
Lot Size (Acres): 6.6
Agent:
Robb Satten
Agent Email: rsatten@realcre.net
Broker:
Real Broker LLC
Broker Phone: 217-960-8605
Broker Email: steve.carvelli@joinreal.com

