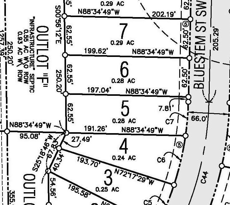
Country living does not always mean you have to live far out in the country! Welcome to Troyers Meadow where country and city-life meet. This inviting subdivision is the perfect place to build your next home. Conveniently located North of Kalona and just minutes from Iowa City. What you will find are all hard surface roads, generous sized lots with a community well, gas and electric already installed. All you need is your floorplan, an outbuilding if you like, and you are living life the right way with homes spread out so you can be neighborly but not on top of each other. Come check it out!! This listing is for Lots 5 & 6 for a zero-lot line / duplex style home.
Lot 5 Troyers Meadow Kalona, IA 52247
For Sale
Lot 5 Troyers Meadow
Kalona, IA 52247
Price: $60,000
Type:
Lot/Land
Lot Size: 1-2 Acres
Agent:
Mike Bails
Agent Phone: 319-321-5500
Agent Email: bailsteamlistings@urbanacres.com
Broker:
Urban Acres Real Estate Corridor
Broker Phone: 319-351-1111
Broker Email: PhilOBrien@urbanacres.com
