Chance to get in a Recently Remolded unit, located in the heart of Hickory Hills. Located on busy Roberts Road with plenty of visibility Great for Attorney, Accounting or Real-estate office. Hair Salon or Retail store, Features: New Forced Air Heating & Central Air-condition. New Windows & Door. New Flooring & Lighting. Outside Soffit security light. Plenty of parking, enter from 88th Ave or Roberts Rd Easy to show. Call Listing Agent for appointment.
8801 Roberts Road Hickory Hills, IL 60457
Contact Us About This Listing
1319 Veterans Parkway 3A Bloomington, IL 61704
Ideally suited for healthcare, executive, or administrative use, this thoughtfully configured space features multiple exam rooms or generous private offices, a refined reception and waiting area, dedicated lab, a break area, and a well-appointed conference room. This suite can be easily reconfigured to accommodate a wide range of professional needs and operational styles. Elevate your brand presence with distinguished monument and suite specific signage opportunities.
Contact Us About This Listing
205 9th Street Gridley, IL 61744
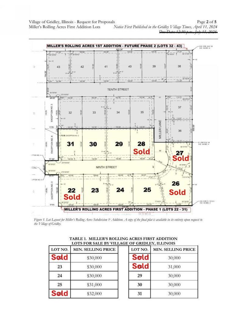
Lot 23: 1/3 Acre Lot available in new subdivision in NE Gridley – Miller’s Rolling Acres First Addition. This is a great opportunity to build your custom dream home, using your favorite builder! Subdivision is located in the El Paso-Gridley School District with access to Village parks and public pool. Another amazing perk for the Village is golf carts are allowed within the city limits. All utilities are available to the building site. Call/Text George & Willow Gramm for more information and a tour of the Village of Gridley!
Contact Us About This Listing
207 9th Street Gridley, IL 61744
Lot 24: 1/3 Acre Lot available in new subdivision in NE Gridley – Miller’s Rolling Acres First Addition. This is a great opportunity to build your custom dream home, using your favorite builder! Subdivision is located in the El Paso-Gridley School District with access to Village parks and public pool. Another amazing perk for the Village is golf carts are allowed within the city limits. All utilities are available to the building site. Call/Text George & Willow Gramm for more information and a tour of the Village of Gridley!
Contact Us About This Listing
9999 Confidential Avenue Confidential, IL 99999
This well-established hardwood flooring business has been serving the greater Chicago and North Shore areas since 1985, providing expert installation, refinishing, and repair services for both residential and commercial clients. Known for exceptional craftsmanship and attention to detail, the business has built a strong reputation and a loyal customer base over nearly four decades. The sale includes all operating assets, current inventory, and two fully equipped service trucks, along with all specialized flooring tools and equipment necessary to continue operations immediately. The business also comes with an established website and online presence, which generates consistent project inquiries and strengthens its visibility in the local market. The company benefits from a diverse customer base including homeowners, designers, with many long-term and repeat customers, reflecting the significant goodwill associated with the business. Its operational systems and processes – from scheduling and quoting to project management – are well-established, enabling a seamless transition to a new owner. With marketing assets, and a respected local reputation, this business has excellent expansion potential, including opportunities to grow into new service areas, increase marketing efforts, or pursue additional commercial contracts. This is a turnkey opportunity to acquire a profitable, respected flooring operation with a proven foundation and solid platform for continued growth.
Contact Us About This Listing
209 9th Street Gridley, IL 61744
Lot 25: Over 1/3 Acre Lot available in new subdivision in NE Gridley – Miller’s Rolling Acres First Addition. This is a great opportunity to build your custom dream home, using your favorite builder! Subdivision is located in the El Paso-Gridley School District with access to Village parks and public pool. Another amazing perk for the Village is golf carts are allowed within the city limits. All utilities are available to the building site. Call/Text George & Willow Gramm for more information and a tour of the Village of Gridley!
Contact Us About This Listing
208 9th Street Gridley, IL 61744
Lot 29: 1/3 Acre Lot available in new subdivision in NE Gridley – Miller’s Rolling Acres First Addition. This is a great opportunity to build your custom dream home, using your favorite builder! Subdivision is located in the El Paso-Gridley School District with access to Village parks and public pool. Another amazing perk for the Village is golf carts are allowed within the city limits. All utilities are available to the building site. Call/Text George & Willow Gramm for more information and a tour of the Village of Gridley!
Contact Us About This Listing
206 9th Street Gridley, IL 61744
Lot 30: 1/3 Acre Lot available in new subdivision in NE Gridley – Miller’s Rolling Acres First Addition. This is a great opportunity to build your custom dream home, using your favorite builder! Subdivision is located in the El Paso-Gridley School District with access to Village parks and public pool. Another amazing perk for the Village is golf carts are allowed within the city limits. All utilities are available to the building site. Call/Text George & Willow Gramm for more information and a tour of the Village of Gridley!
Contact Us About This Listing
204 9th Street Gridley, IL 61744
Lot 31: 1/3 Acre Lot available in new subdivision in NE Gridley – Miller’s Rolling Acres First Addition. This is a great opportunity to build your custom dream home, using your favorite builder! Subdivision is located in the El Paso-Gridley School District with access to Village parks and public pool. Another amazing perk for the Village is golf carts are allowed within the city limits. All utilities are available to the building site. Call/Text George & Willow Gramm for more information and a tour of the Village of Gridley!
Contact Us About This Listing
00 Barr Road Manhattan, IL 60442
10 Acres of Endless Potential – Ready for Your Vision! Imagine crafting your dream on this expansive 10-acre property, the ideal setting to bring your vision to life. Whether you dream of building a custom home with a pole barn, establishing a serene equestrian estate, or adding a picturesque pond, this land offers boundless possibilities. Located just minutes from downtown Manhattan, you’ll enjoy a peaceful, private setting with easy access to nearby amenities. With electric nearby and priced to sell, this property is a blank canvas awaiting your inspiration. Your dream starts here!









